Lijsterbesstraat ong

5492 ED, Sint-Oedenrode

Verkocht

€ 265.000,- k.k.

Kenmerken

Beschrijving

Foto's

Plattegrond(en)

Brochure

Overdracht

Koopprijs
€ 265.000,- k.k.
Status
Verkocht

Bouwvorm

Soort object
Bouwgrond
Bouwvorm
Niet van toepassing
Liggingen
Aan rustige weg, In woonwijk, In bosrijke omgeving

Indeling

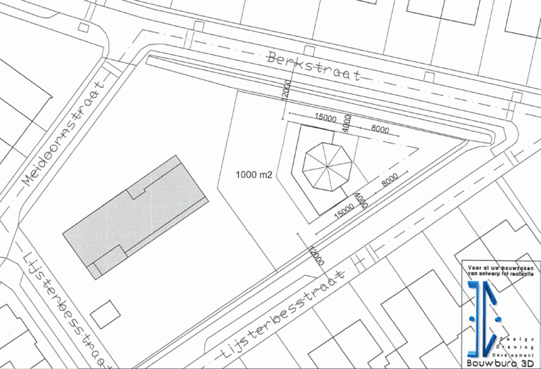
Perceel oppervlakte
990 m2
Inhoud
0 m3
Aantal verdiepingen
0

Buitenruimte

Tuin
Geen tuin

Bergruimte

Totaal aantal
0

Garage en parkeren

Garage
Geen garage
Aantal garages
0
Garage oppervlakte
0 m2

Dak

Geen dak type bekend

Voorzieningen

Voorzieningen

Overig

Permanente bewoning
Ja
Huidig gebruik
bouwgrond
Huidige bestemming
bouwgrond

Uw droomhuis hier bouwen?

Aan een rustige woonstraat en op slechts enkele autominuten van snelweg A2 vinden we deze prachtige lokatie voor de bouw van uw vrijstaande woning/bungalow eventueel met kantoor.

Mocht u willen dan is voor dit kavel reeds een door welstand goedgekeurd bouwplan voorhanden. Bij interesse in het plan kunt u informeren bij ons kantoor.

Bouwregels hoofdgebouw:

– Hoofdgebouwen zijn uitsluitend toegestaan binnen het bouwvlak
– Het bouwvlak mag volledig worden bebouwd
– Maximale goothoogte: 7 meter
– Maximale bouwhoogte: 10 meter

Boskant (Sint-Oedenrode) ligt op slechts 5 autominuten van snelweg A2, 15 autominuten van Eindhoven en doet zijn naam eer aan met de idyllische ligging tussen verschillende bossen en boomkwekerijen in een fraaie groene omgeving. Boskant beschikt met een basisschool, supermarkt, horeca en verschillende sportvelden over al uw dagelijkse benodigdheden. De kernen van Sint-Oedenrode en Best vindt u op slechts 5 minuten afstand.

Voor meer informatie omtrent de mogelijkheden gaan wij graag met u in gesprek.

Geen plattegrond beschikbaar

Geen brochure beschikbaar

Uw persoonlijke makelaar

René van de Laar

0413-472118 [email protected]
Uw persoonlijke makelaar

Marij-Ellen Smits

06-53191515 [email protected]
Uw persoonlijke makelaar

Inge Wijngaarden

0413-472118 [email protected]